family CERAMBYCIDAE Latreille, 1802
subfamily LEPTURINAE Latereille, 1802
tribe Rhagiini Kirby, 1837
genus Pidonia Mulsant, 1863
Pidonia lurida (Fabricius, 1792)
subgenus Pidonia Mulsant, 1863







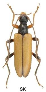
Velikost 9-11 mm.
Bionomie. Okraje lesních porostů především podhorských a horských poloh. Podle Šváchy (1988) jsou larvy obvykle pod kůrou na mrtvých mělkých kořenech, zřídka nad úrovní země. Dvě larvy byly výjimečně pod kůrou velmi mohutného Fagus. Dospělé larvy přezimují v půdě, kuklení na jaře. Pravděpodobně dvouletý vývoj. - Imága se vyskytují od VI. do VIII. na různých květech, zejména Aruncus, Apiaceae, Spiraea.
Živné rostliny – Fagus, Picea.
Variabilita. Barva štítu je různě tmavá nebo světlá. Také nohy mohou být různě světlé až černé.